Description
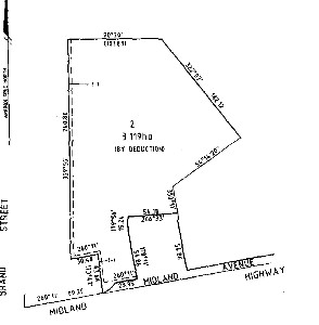
Two large development sites available on the edge of the township of Stanhope. With access off the Midland Highway and surrounding the Stanhope Hotel, these blocks offer that chance to create both residential and/or industrial developments (STCA). Gas town water, sewerage and power is all available.
Was for Sale
- Publish Date: 31-05-2009 23:28:37
- Contact name: Brendan McConnell
- 145 times displayed
- Website: www.kyabramrealestate.com.au
- Location: Australia
- Business: McConnell Kerwin First National
- Price: $200000
Place:
Lot 2 Midland Highway, STANHOPE, VIC, Australia, 3623
Average Price in STANHOPE ...




