Australia

Images for * Joy & Clare Streets, GOONELLABAH, NSW, Australia, 2480

Check out our new Statistics area.
Average Price Statistics ... Average Price Statistics

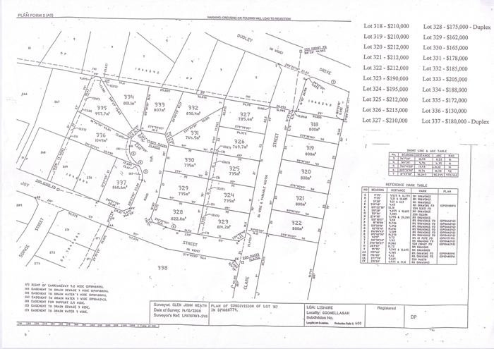
OLLEY ESTATE Picture 1

OLLEY ESTATE Picture 2

OLLEY ESTATE Picture 3

<<-- Return to Post Details