Description
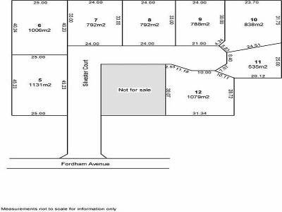
An outstanding new subdivision situated in a quiet residential location, offering 8 allotments of different dimensions and catering for all lifestyles. Services to the boundaries. (Settlements subject to titles being issued.) Lot 5 - 1131m2 - $75,000 Lot 6 - 1006m2 - $75,000 Lot 7 - 792m2 - $65,000 Lot 8 - 792m2 - $65,000 Lot 9 - 788m2 - $65,000 Lot 10 - 838m2 - $65,000 Lot 11 - 535m2 - $55,000 Lot 12 - 1079m2 - $75,000 (RLA 180354)
Was for Sale
- Publish Date: 29-07-2008 21:58:19
- Contact name: Graham Moody
- 129 times displayed
- Location: Australia
- Business: Naracoorte First National
- Price: $55000
Place:
Fordham Ave, NARACOORTE, SA, Australia, 5271
Average Price in NARACOORTE ...


