Australia

Images for 8 Technology Drive,, ARUNDEL, QLD, Australia, 4214

Check out our new Statistics area.
Average Price Statistics ... Average Price Statistics

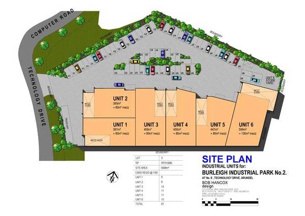
SHOWROOM / INDUSTRIAL SPACE Picture 1

SHOWROOM / INDUSTRIAL SPACE Picture 2

<<-- Return to Post Details