Australia

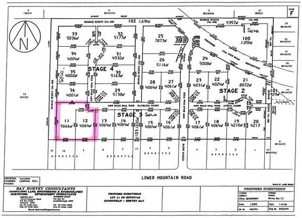
Images for Lot 11+12 Navelina Court, DUNDOWRAN, QLD, Australia, 4655

Check out our new Statistics area.
Average Price Statistics ... Average Price Statistics

Hervey Bay Industrial Land - 9730m2 Picture 1

<<-- Return to Post Details